#202 Reasons?
Okay, that’s a little play on words and here’s why…
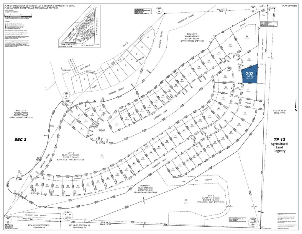
This breathtaking lot is perfectly situated to build your dream home at Predator Ridge. It just happens to be lot #202 on Diamond Way in beautiful Vernon, British Columbia.
Be it Summer, Fall, Winter or Spring – this piece of land sits at a prime location in the North Okanagan’s four season playground.
This freehold property is serviced by municipal water, sewer, hydro and gas. Choose your builder with liberal design guidelines to create the house and property of your dreams.
The neighboring property is in the Agricultural Land Registry which restricts development and other non-agricultural uses.
Buy now and build when you want
So Where is #202 Predator Ridge?
Here’s two views of the The Commonage Subdivision Plan to show you exactly what the lot looks like and where it’s located in the grand scheme of The Commonage. Click to see larger view.



Want to know more?
Contact us!
Contact us today and we can send you the Commonage Design Guide which will give you all the details on how you can turn this estate lot into your dream home in Predator Ridge.
